新築物件
【NEW!】嵯峨中又町
閑静な住宅地内! 駐車2台可能!1路線2駅利用可能です!
物件概要
-
価格
4280万円 -
間取り
3LDK+WCL+SCL
-
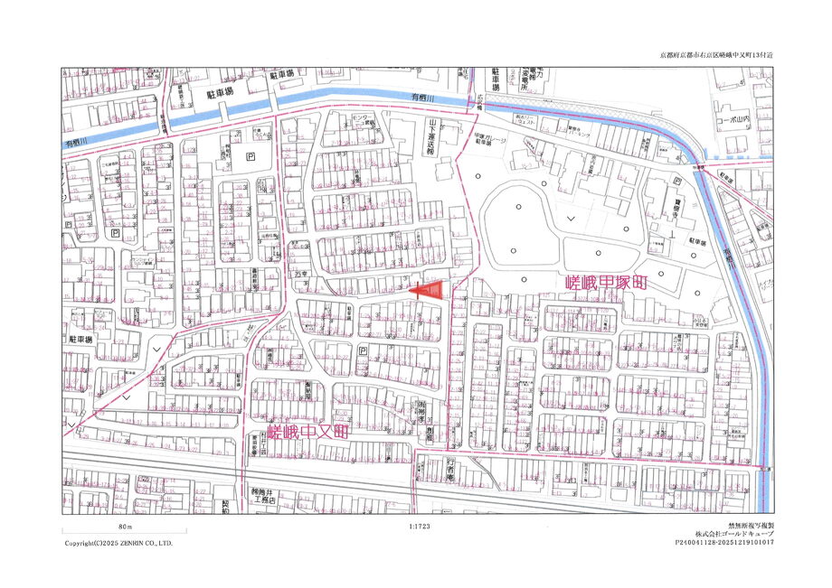
所在地
京都府京都市右京区嵯峨中又町13番地 -
交通
京福嵐山本線「車折神社」駅徒歩6分
京福嵐山本線「鹿王院」駅徒歩8分 -
土地面積
144.43㎡ -
建物面積
87.82㎡ -
建築年月
令和8年5月末完成予定
おすすめポイント
◆南向きのため、日当たり良好です。
◆1路線2駅利用可能
・京福嵐山本線 『車折神社』駅 徒歩6分
・京福嵐山本線 『鹿王院』駅 徒歩8分
◆最寄りにスーパーやドラッグストアあり、住環境が良好です。
取引にかかる費用:外構費60万円、建築確認費60万円、水道負担金30万円、省エネ基準50万円
(すべて税込)が別途必要になります。
Contact
この物件についての
お問い合わせ
見学予約や資料請求など、
お気軽にお問い合わせ下さい。
※日曜日に頂きましたお問い合わせや資料請求につきましてのご対応は月曜日となります。
ご了承のほどお願いいたします。(日曜日のご案内予約は承っております)
その他概要
-
私道負担・道路
有、南約5m幅(接道長さ約18.9m) -
建ぺい率・容積率
60%・200% -
土地の権利形態
所有権 -
その他制限事項
景観法、都市再生特別措置法・宅地造成及び特定盛土等規制法(旧宅地造成等規制法)・文化財保護法 -
引渡可能時期
相談 -
設備
公営水道
本下水
都市ガス -
建築確認番号
第R07確認建築IPEC00623号
特徴ピックアップ
-
1沿線2駅利用可
-
スーパー 徒歩5分以内
-
陽当り良好
-
南側道路面す
-
閑静な住宅地
-
都市ガス
-
BELS
-
省エネ基準適合認定書あり
-
浴室乾燥機
-
対面式キッチン
-
床暖房
-
食器洗乾燥機
周辺環境
-
スーパー
FOOD SHOPエムジー嵯峨車折店:徒歩5分(約360m) -
コンビニ
ファミリーマート京都嵯峨広沢店:徒歩7分(約490m)
セブンイレブン鹿王院駅前店:徒歩7分(約560m) -
ドラッグストア
ダックス右京嵯峨店:徒歩6分(約460m) -
中学校
京都市立嵯峨中学校:徒歩11分(約850m) -
小学校
京都市立嵐山小学校:徒歩11分(約880m) -
郵便局
京都広沢郵便局:徒歩9分(約680m) -
銀行
京都信用金庫嵯峨支店:徒歩10分(約760m)
京都中央信用金庫常盤支店:徒歩14分(約1,060m) -
病院
医療法人河端病院:徒歩19分(約1,520m)